今日の天気:晴れ
気温:33℃ 水温:29℃
風向:北西 波高:1m
どーもHATAちゃんです!
今日は朝からビーチでのんびり少人数で潜って参りましたー!
8月の繁忙期だというのにまさかのファンダイブゲスト1名!?
台風後の生存確認や思わぬ出会いもあって充実の3DIVEでしたー!
浅瀬のハードコーラルは絶賛白化中!

台風すぎて水温は少し落ち着いたとは言え、浅瀬はアチアチですねー。

浅瀬のひょっこりはんものぼせちゃうんじゃない!?

可愛いおちびさんがお花畑の中を行ったり来たり!
お気に入りたちの生存確認もばっちりです!

いないと思ったらいました!ユリタツノコ!

糸くずも一匹になっちゃったけど、元気にしてました!

ニシキフウライウオがペアだった説まじ?一回も確認してない、、、

砂地でハゼを探してたら、まさかの砂辺でチンアナゴ!?初めての出会いにHATAちゃんもテンションあがってました!(笑)

可愛いサイズのウミウシカクレエビ!

ニセアカホシ?アカホシ?ナデシコ?オドリカクレ?みんなカクレエビの見分け方マスターしてくださいね!

天晴な擬態っぷりのエビちゃんは今日も確認!

砂地ではもぞもぞ動くぶんぶくもご紹介!
ウミウシはこんな感じー!

普通種でもいるだけでありがたいー!
え?普通じゃないのもいるって??
ラストは、、、

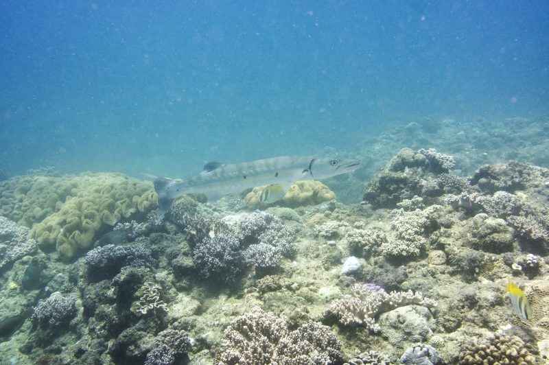
ゲストの残圧30切ってたけど、こんなところでバラクーダ!?
今日は小さい物から大きい物まで見れて満足な一日でしたー!
といったところで本日はここまでー!
明日はゆっくり窒素を抜きたいと思いまーす!
それでは海ログ次回ー!
                

                    
                    
                    
                    

                        
                        
                        
                        
                        
                        
                        
                        
                                      
                                      
                                      
                                      
                                      
                                      
                                      
                                      
                
